TR3 Turniptown Road

Listing Provided by Georgia Highlands Realty
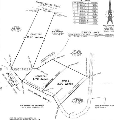
UNRESTRICTED LAND with seasonal layered mountain views! Graveled driveway already cut in, you'll love ascending this well-maintained driveway to the top where you will find a private access drive and be able to easily see beautiful mountain views through the trees. Once cleared you may have some unobstructed views! Located past Walnut Mountain on Turniptown Rd you can experience privacy, nature, sounds of Turniptown Creek across the road, and still be just a few minutes from Ellijay! Power available from pole in Walnut Mountain. Dig a well, or possibly have access to county water. A water line has been run from Turniptown Rd across Tract 2 and Tract 3 and is possibly shareable with an agreement between owners of those lots (meter & usage), or you may add your own line from Turniptown. Surveyed and lot lines are marked. The access drive across the top of the property connects TR 2 & TR 3 and both lots back up against the Walnut Mountain Green Belt. Part of the driveway is on a permanent easement - see photos for approximate location and plat map. Additional acreage available see listing for TR6.

Listing Tools

Property Details of TR3 Turniptown Road

Property Details

Map Location

Based on information submitted to NEGBOR as of March 7, 2026 4:24 AM EST . All data is deemed reliable but is not guaranteed accurate by the MLS. All information should be independently reviewed and verified for accuracy. IDX information is provided exclusively for consumers’ personal, non-commercial use and may not be used for any purpose other than to identify prospective properties consumers may be interested in purchasing.

Hi there! How can we help you?

Contact us using the form below or give us a call.

Send Us A Message:

I agree to receive marketing and customer service calls and text messages from The Mountain Life Real Estate Team. To opt out, you can reply 'stop' at any time or click the unsubscribe link in the emails. Consent is not a condition of purchase. Msg/data rates may apply. Msg frequency varies. Privacy Policy.

Do not fill in this field:

This site is protected by reCAPTCHA and the Google Privacy Policy and Terms of Service apply.