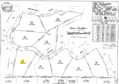
63 Street Andrews Way

Listing Provided by Georgia Highlands Realty
Private 3 Acre Mountain Lot in Luxury Gated Community. This beautiful upsloping lot has at least 2 wonderful flat to gentle building sites. Seasonal close mountain views. The right side of this lot potentially allows for a nice navigable driveway rounding the mountain to a flat spot near the front of the property. Or continue the driveway up the mountain to another flat area where you feel like you are among the treetops with seasonal mountain views. Additional adjacent lots are available for sale for even more privacy and elbow room including year-round natural springs. Okay to buy now and build later. Electric, phone, cable, and high speed internet at road. Check out the topo map in photos. Close to orchards, wineries, and hiking. Approx 20-25 minutes to Jasper or Ellijay. GATED, HOA, 2000 min, no rentals. all buyers must be with an agent per HOA. Terrain parcel line photos are an approximation only.

Listing Tools

Property Details of 63 Street Andrews Way

Property Details

Map Location

Based on information submitted to NEGBOR as of March 6, 2026 9:24 AM EST . All data is deemed reliable but is not guaranteed accurate by the MLS. All information should be independently reviewed and verified for accuracy. IDX information is provided exclusively for consumers’ personal, non-commercial use and may not be used for any purpose other than to identify prospective properties consumers may be interested in purchasing.

Hi there! How can we help you?

Contact us using the form below or give us a call.

Send Us A Message:

I agree to receive marketing and customer service calls and text messages from The Mountain Life Real Estate Team. To opt out, you can reply 'stop' at any time or click the unsubscribe link in the emails. Consent is not a condition of purchase. Msg/data rates may apply. Msg frequency varies. Privacy Policy.

Do not fill in this field:

This site is protected by reCAPTCHA and the Google Privacy Policy and Terms of Service apply.